Đất Mặt Tiền Mai Anh Đào – Phường 8, Đà Lạt: Vị Trí Vàng Đối Diện Đồi Mộng Mơ

  • Tổng quan
  • Thông tin chung
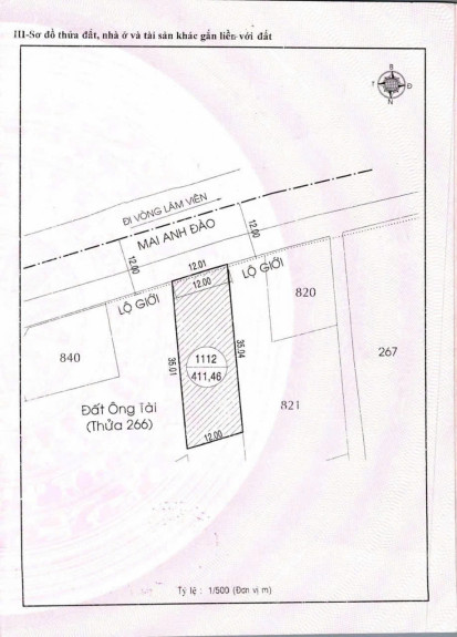
Diện tích
411.46m2
Giá
35 Tỷ
Trạng thái
Đang mở bán
Địa chỉ
Đường Mai Anh Đào, Phường 8, Thành phố Đà Lạt, Lâm Đồng

Vị trí sản phẩm

*Ấn vào biểu tượng để xem thông tin sản phẩm

Sản phẩm này phù hợp với

  • Nhà đầu tư đang tìm đất mặt tiền trục chính Đà Lạt để phát triển dịch vụ lưu trú.
  • Doanh nghiệp hoặc cá nhân muốn mở villa nghỉ dưỡng, homestay, quán cà phê, nhà hàng.
  • Gia đình tìm nơi an cư yên tĩnh nhưng vẫn thuận tiện di chuyển đến trung tâm

Đặc điểm và lợi ích sản phẩm

Sở hữu vị trí đắc địa trên trục đường Mai Anh Đào – tuyến giao thông huyết mạch dẫn vào trung tâm các khu du lịch nổi tiếng của Đà Lạt, lô đất mặt tiền Phường 8 này mang đến cơ hội đầu tư hiếm có cho những ai đang tìm kiếm một bất động sản tiềm năng kết hợp vừa ở, vừa kinh doanh, hoặc phát triển dịch vụ du lịch nghỉ dưỡng.

Đặc điểm của sản phẩm

  • Diện tích: 411.46m² (12m x 34.28m)
  • Pháp lý: sổ hồng riêng, sang tên nhanh chóng
  • Cơ cấu đất:
    • 300m² đất ở đô thị (ODT)
    • 111.46m² đất trồng cây lâu năm khác
  • Mặt tiền: 12m
  • Hướng đất: Bắc
  • Đường trước đất: đường nhựa rộng 12m – ô tô tránh nhau dễ dàng
  • Hiện trạng: đất trống, địa thế bằng phẳng, sẵn sàng xây dựng

Lợi ích của sản phẩm

  • Vị trí chiến lược: Nằm ngay mặt tiền đường Mai Anh Đào, đối diện Khu du lịch Đồi Mộng Mơ, gần Thung Lũng Tình Yêu – nơi tập trung đông du khách, rất phù hợp mở khách sạn, homestay, nhà hàng hoặc villa nghỉ dưỡng.
  • Kết nối thuận tiện:
  • Cách Hồ Xuân Hương 4.6km
  • Đường nhựa ô tô lưu thông 2 chiều, kết nối nhanh đến trung tâm
  • Khu dân cư phát triển: Dân trí cao, an ninh tốt, môi trường sống trong lành.
  • Pháp lý rõ ràng – có sẵn thổ cư, dễ dàng xin phép xây dựng nhà ở, biệt thự, hoặc cơ sở kinh doanh.

Sản phẩm phù hợp với ai

  • Nhà đầu tư đang tìm đất mặt tiền trục chính Đà Lạt để phát triển dịch vụ lưu trú.
  • Doanh nghiệp hoặc cá nhân muốn mở villa nghỉ dưỡng, homestay, quán cà phê, nhà hàng.
  • Gia đình tìm nơi an cư yên tĩnh nhưng vẫn thuận tiện di chuyển đến trung tâm

Câu hỏi Q&A

Đường trước đất có ô tô vào thoải mái không?

 Có, đường nhựa 12m – xe ô tô 2 chiều lưu thông thuận tiện.

 Khu vực có nhiều khách du lịch không?

 Rất đông, do nằm ngay đối diện Đồi Mộng Mơ và gần Thung Lũng Tình Yêu – hai điểm tham quan nổi tiếng của Đà Lạt. 

 Có thể xây dựng biệt thự hoặc kinh doanh homestay không?

 Hoàn toàn có thể, vì đất đã có sẵn 300m² thổ cư và vị trí cực kỳ thuận lợi cho mô hình kinh doanh du lịch

Tiện ích & Liên kết vùng

  • Gần các khu du lịch lớn: Đồi Mộng Mơ, Thung Lũng Tình Yêu, Đà Lạt Star.
  • Chỉ 10 phút lái xe đến Hồ Xuân Hương và trung tâm thành phố.
  • Khu vực đông đúc, gần trường học, chợ và nhiều tiện ích dân sinh.

Tổng quát sản phẩm

  • Lô đất mặt tiền Mai Anh Đào, Phường 8 – Đà Lạt là sản phẩm hiếm có hội tụ đủ yếu tố “vàng”: vị trí đẹp, pháp lý rõ, diện tích rộng và tiềm năng khai thác kinh doanh cao. Đây là lựa chọn lý tưởng cho nhà đầu tư muốn sở hữu mặt tiền đắt giá tại thành phố du lịch hàng đầu Việt Nam.
  • Giá bán 35 tỷ có thương lượng 

Có hỗ trợ xem đất thực tế không?

Có, Anphareal sẽ hỗ trợ khách xem trực tiếp hoặc tư vấn từ xa nếu khách ở ngoài Đà Lạt.

📞 Liên hệ ngay Anphareal để xem nhà và nhận thông tin chi tiết

👉 Xem thêm Nhà Đất tại Đà Lạt: https://anphareal.vn/san-phm/nha-dat-thanh-pho-da-lat